Se descarrila vagón del Tren Maya en Izamal
Puebla, Puebla 19 de agosto de 2025
El Tren Maya se descarrila en la estación Izamal de Yucatán, según informaron autoridades uno de los vagones...
Más de 33 mil desalojados por los graves incendios en España.
Puebla, Puebla 19 de agosto de 2025
Más de 33.000 desalojados por los graves incendios de los cuales siguen sin control 21 de nivel 2,...
10 millones de dólares la recompensa que ofrece EU por hijo de «El Chapo»
Puebla, Puebla 18 de agosto de 2025
El Servicio de Control de Inmigración y Aduanas en EU, ofreció 10 millones de dólares de recompensa por...
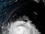
El Centro Nacional de Huracanes emitió una alerta por el poderoso huracán «Erin» que...
Puebla, Puebla 18 de agosto de 2025
Se espera que Erin produzca oleaje y corrientes marinas que amenazan la vida a lo largo de las...
Detienen a «Lord Pádel», su esposa, su hijo y a su socio por tentativa...
Puebla, Puebla 14 de agosto de 2025
Detienen a German Mondragón conocido como "Lord Pádel" , su esposa, su hijo y su socio en el...
Miles evacuados por deshielo de glaciar en Juneau, Alaska
Puebla, Puebla 14 de agosto de 2025
Se emitió una alerta en Juneau, Alaska por el derretimiento de un glaciar, este fenómeno transcurrirá en los...
700 millones de dólares el monto confiscado por EU a Nicolás Maduro
Puebla, Puebla 13 de agosto de 2025
La fiscal general de EU Pam Bondi declaro en entrevista que se le han confiscado 700 millones de...
El Departamento de Estado de EU alerta a sus ciudadanos del riesgo de viajar...
Puebla, Puebla 13 de agosto de 2025
El gobierno del Presidente Donald Trump emitió una alerta de viaje para 30 estados de la República Mexicana...
El Presidente Donald Trump despliega la Guardia Nacional en Washington
Puebla, Puebla 12 de agosto de 2025
El presidente de Estados Unidos Donald Trump ordeno desplegar a la Guardia Nacional en Washington DC para controlar...
Nicolás Maduro llama cobarde al presidente Donald Trump
Puebla, Puebla 10 de agosto de 2025
El presidente de Venezuela Nicolás Maduro reta a Donald Trump con la frase » venga por mi, aquí...
















